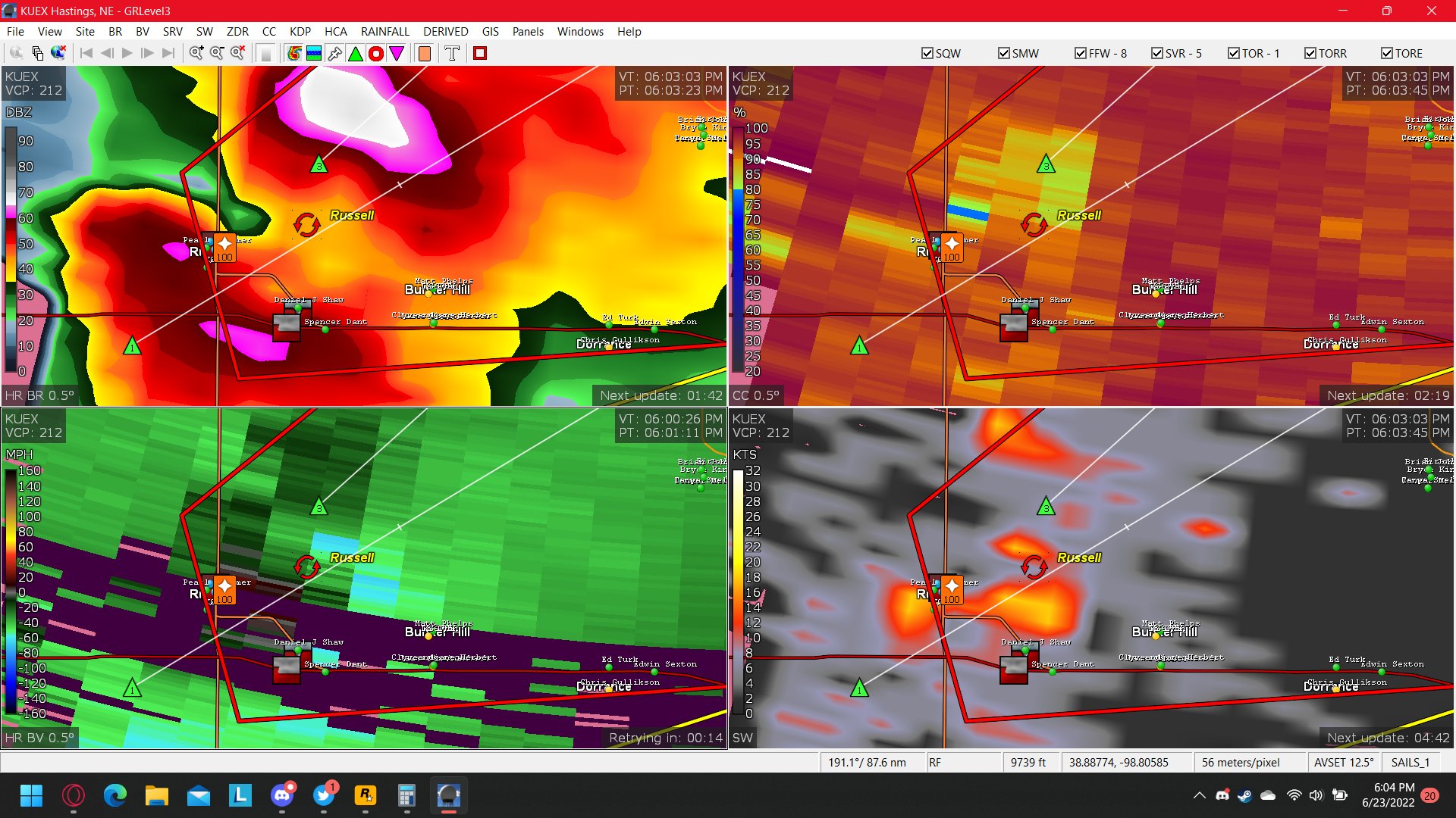
Dorrance Ks Tornado . hot and muggy conditions resulted in extreme instability over central kansas on thursday june 23rd. According to records, the largest tornado in the dorrance area was an f4 in. (ksnw) — a supercell thunderstorm has produced three confirmed tornadoes across kansas on. A supercell storm developed around 4. dorrance, ks is a very high risk area for tornados. at least one rural residence north of ellinwood sustained substantial damage from a suspected tornado on sunday, barton county sheriff brian bellendir said. a tornado warning is in effect in ellsworth, lincoln and russell counties until 6:45 p.m. Those in dorrance and bunker hill are advised to. According to a press release from the city of russell, the storm across russell county caused widespread damage sunday afternoon.
from www.cbsnews.com
a tornado warning is in effect in ellsworth, lincoln and russell counties until 6:45 p.m. at least one rural residence north of ellinwood sustained substantial damage from a suspected tornado on sunday, barton county sheriff brian bellendir said. A supercell storm developed around 4. According to records, the largest tornado in the dorrance area was an f4 in. Those in dorrance and bunker hill are advised to. According to a press release from the city of russell, the storm across russell county caused widespread damage sunday afternoon. (ksnw) — a supercell thunderstorm has produced three confirmed tornadoes across kansas on. dorrance, ks is a very high risk area for tornados. hot and muggy conditions resulted in extreme instability over central kansas on thursday june 23rd.
Kansas tornadoes critically injure people, damage homes amid severe storms across Plains CBS News
Dorrance Ks Tornado Those in dorrance and bunker hill are advised to. dorrance, ks is a very high risk area for tornados. According to records, the largest tornado in the dorrance area was an f4 in. hot and muggy conditions resulted in extreme instability over central kansas on thursday june 23rd. (ksnw) — a supercell thunderstorm has produced three confirmed tornadoes across kansas on. a tornado warning is in effect in ellsworth, lincoln and russell counties until 6:45 p.m. A supercell storm developed around 4. According to a press release from the city of russell, the storm across russell county caused widespread damage sunday afternoon. at least one rural residence north of ellinwood sustained substantial damage from a suspected tornado on sunday, barton county sheriff brian bellendir said. Those in dorrance and bunker hill are advised to.
From www.youtube.com
Tornadoes and Epic Supercell Structure Dorrance to Glendale, KS June 23, 2022 YouTube Dorrance Ks Tornado According to records, the largest tornado in the dorrance area was an f4 in. Those in dorrance and bunker hill are advised to. A supercell storm developed around 4. at least one rural residence north of ellinwood sustained substantial damage from a suspected tornado on sunday, barton county sheriff brian bellendir said. hot and muggy conditions resulted in. Dorrance Ks Tornado.
From www.youtube.com
06232022 Dorrance, KS Tornadoes and Incredible Storm Structure YouTube Dorrance Ks Tornado According to records, the largest tornado in the dorrance area was an f4 in. According to a press release from the city of russell, the storm across russell county caused widespread damage sunday afternoon. A supercell storm developed around 4. Those in dorrance and bunker hill are advised to. hot and muggy conditions resulted in extreme instability over central. Dorrance Ks Tornado.
From www.kansas.com
Tornado rips through Kansas, keeps KC area on edge for hours Wichita Eagle Dorrance Ks Tornado According to a press release from the city of russell, the storm across russell county caused widespread damage sunday afternoon. According to records, the largest tornado in the dorrance area was an f4 in. dorrance, ks is a very high risk area for tornados. at least one rural residence north of ellinwood sustained substantial damage from a suspected. Dorrance Ks Tornado.
From weather.com
Huge Tornado Spotted in Kansas The Weather Channel Dorrance Ks Tornado According to a press release from the city of russell, the storm across russell county caused widespread damage sunday afternoon. According to records, the largest tornado in the dorrance area was an f4 in. a tornado warning is in effect in ellsworth, lincoln and russell counties until 6:45 p.m. (ksnw) — a supercell thunderstorm has produced three confirmed tornadoes. Dorrance Ks Tornado.
From www.nbcnews.com
Tornado Touches Down in Kansas NBC News Dorrance Ks Tornado (ksnw) — a supercell thunderstorm has produced three confirmed tornadoes across kansas on. According to a press release from the city of russell, the storm across russell county caused widespread damage sunday afternoon. A supercell storm developed around 4. According to records, the largest tornado in the dorrance area was an f4 in. a tornado warning is in effect. Dorrance Ks Tornado.
From twitter.com
NWS Tornado on Twitter "Tornado Warning including Russell KS, Lucas KS and Dorrance KS until 5 Dorrance Ks Tornado (ksnw) — a supercell thunderstorm has produced three confirmed tornadoes across kansas on. A supercell storm developed around 4. According to a press release from the city of russell, the storm across russell county caused widespread damage sunday afternoon. dorrance, ks is a very high risk area for tornados. hot and muggy conditions resulted in extreme instability over. Dorrance Ks Tornado.
From www.cnn.com
Andover Kansas tornado Dozens of buildings leveled after a powerful tornado tears through Dorrance Ks Tornado According to a press release from the city of russell, the storm across russell county caused widespread damage sunday afternoon. dorrance, ks is a very high risk area for tornados. hot and muggy conditions resulted in extreme instability over central kansas on thursday june 23rd. at least one rural residence north of ellinwood sustained substantial damage from. Dorrance Ks Tornado.
From www.cbsnews.com
Kansas tornadoes critically injure people, damage homes amid severe storms across Plains CBS News Dorrance Ks Tornado According to a press release from the city of russell, the storm across russell county caused widespread damage sunday afternoon. Those in dorrance and bunker hill are advised to. dorrance, ks is a very high risk area for tornados. at least one rural residence north of ellinwood sustained substantial damage from a suspected tornado on sunday, barton county. Dorrance Ks Tornado.
From www.kansascity.com
Kansas tornado damage Lawrence, Douglas County, Linwood Kansas City Star Dorrance Ks Tornado dorrance, ks is a very high risk area for tornados. at least one rural residence north of ellinwood sustained substantial damage from a suspected tornado on sunday, barton county sheriff brian bellendir said. a tornado warning is in effect in ellsworth, lincoln and russell counties until 6:45 p.m. According to a press release from the city of. Dorrance Ks Tornado.
From www.youtube.com
TORNADO Warned Storm North Of Dorrance Kansas Exit I70 Storm Chasers 6232022539pm YouTube Dorrance Ks Tornado According to records, the largest tornado in the dorrance area was an f4 in. at least one rural residence north of ellinwood sustained substantial damage from a suspected tornado on sunday, barton county sheriff brian bellendir said. A supercell storm developed around 4. a tornado warning is in effect in ellsworth, lincoln and russell counties until 6:45 p.m.. Dorrance Ks Tornado.
From www.tornadotalk.com
DorranceHunter, KS F3 Tornado October 29, 1956 Tornado Talk Dorrance Ks Tornado at least one rural residence north of ellinwood sustained substantial damage from a suspected tornado on sunday, barton county sheriff brian bellendir said. According to a press release from the city of russell, the storm across russell county caused widespread damage sunday afternoon. dorrance, ks is a very high risk area for tornados. Those in dorrance and bunker. Dorrance Ks Tornado.
From twitter.com
NWS Tornado on Twitter "Tornado Warning including Russell KS, Lucas KS and Dorrance KS until 5 Dorrance Ks Tornado Those in dorrance and bunker hill are advised to. at least one rural residence north of ellinwood sustained substantial damage from a suspected tornado on sunday, barton county sheriff brian bellendir said. According to a press release from the city of russell, the storm across russell county caused widespread damage sunday afternoon. dorrance, ks is a very high. Dorrance Ks Tornado.
From www.youtube.com
The Dorrance, Kansas TornadoJune 23, 2022 YouTube Dorrance Ks Tornado According to records, the largest tornado in the dorrance area was an f4 in. at least one rural residence north of ellinwood sustained substantial damage from a suspected tornado on sunday, barton county sheriff brian bellendir said. a tornado warning is in effect in ellsworth, lincoln and russell counties until 6:45 p.m. Those in dorrance and bunker hill. Dorrance Ks Tornado.
From www.nbcnews.com
Watch as a Tornado Touches Down in Kansas NBC News Dorrance Ks Tornado at least one rural residence north of ellinwood sustained substantial damage from a suspected tornado on sunday, barton county sheriff brian bellendir said. hot and muggy conditions resulted in extreme instability over central kansas on thursday june 23rd. According to a press release from the city of russell, the storm across russell county caused widespread damage sunday afternoon.. Dorrance Ks Tornado.
From www.goodmorningamerica.com
More tornadoes overnight after weekend of destruction in Kansas Good Morning America Dorrance Ks Tornado hot and muggy conditions resulted in extreme instability over central kansas on thursday june 23rd. A supercell storm developed around 4. According to a press release from the city of russell, the storm across russell county caused widespread damage sunday afternoon. According to records, the largest tornado in the dorrance area was an f4 in. at least one. Dorrance Ks Tornado.
From abcnews.go.com
Tornadoes, Severe Weather Sweep Across Plains; 2 Injured in Kansas ABC News Dorrance Ks Tornado a tornado warning is in effect in ellsworth, lincoln and russell counties until 6:45 p.m. (ksnw) — a supercell thunderstorm has produced three confirmed tornadoes across kansas on. According to records, the largest tornado in the dorrance area was an f4 in. According to a press release from the city of russell, the storm across russell county caused widespread. Dorrance Ks Tornado.
From abcnews.go.com
Video Massive winter storm spawns tornadoes in Kansas, Oklahoma ABC News Dorrance Ks Tornado at least one rural residence north of ellinwood sustained substantial damage from a suspected tornado on sunday, barton county sheriff brian bellendir said. a tornado warning is in effect in ellsworth, lincoln and russell counties until 6:45 p.m. Those in dorrance and bunker hill are advised to. (ksnw) — a supercell thunderstorm has produced three confirmed tornadoes across. Dorrance Ks Tornado.
From ktla.com
Massive Tornadoes Touch Down in Kansas KTLA Dorrance Ks Tornado a tornado warning is in effect in ellsworth, lincoln and russell counties until 6:45 p.m. A supercell storm developed around 4. dorrance, ks is a very high risk area for tornados. According to records, the largest tornado in the dorrance area was an f4 in. (ksnw) — a supercell thunderstorm has produced three confirmed tornadoes across kansas on.. Dorrance Ks Tornado.